0 Thompson Avenue, Glendale, CA 91201
| Property type: | Land |
| MLS #: | 22-224415 |
| Days On Market: | 1201 |
| Listing Date: | December 10, 2022 |
| County: | Los Angeles |
| Zoning: | GLR1* |
Property Details
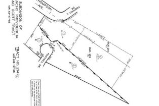
The subject property is a large 44,707 square foot lot zoned GLR1 with a upward hill topography in the city of Glendale, CA. There are existing homes in and around the parcel. The subject property is land locked. Enjoy the stunning views overlooking the valleys. The subject property is located in a prestine part of Glendale with many restaurants, a variety of shops and adequate transportation.Interested in this Listing?
Miami Residence will connect you with an agent in a short time.
Land Info
| Directions: | The Subject property is located one parcel directly behind of 1640 Thompson Avenue, Glendale CA, 91201. That address can be used for the purpose of navigating to the subject property. Subject property cross streets are Thompson Avenue and Foothill Drive. |
| View: | Canyon, Hills, Panoramic, Valley |
Infrastructure
| TV/Cable: | No |
| Disclosures: | As Is |
| Special Zoning: | None |
| Telephone: | No |
Community
Detailed Map
Schools
Find a great school for your child
Active
$ 96,000
1.0263Acres
$ 93,540per ACRE
44,707 ft2Lot Size



