6916 Vista Del Mar, Playa Del Rey , CA 90293
| Property type: | Land |
| MLS #: | 24-445549 |
| Days On Market: | 579 |
| Listing Date: | October 3, 2024 |
| County: | Los Angeles |
| Zoning: | LAR1 |
Property Details
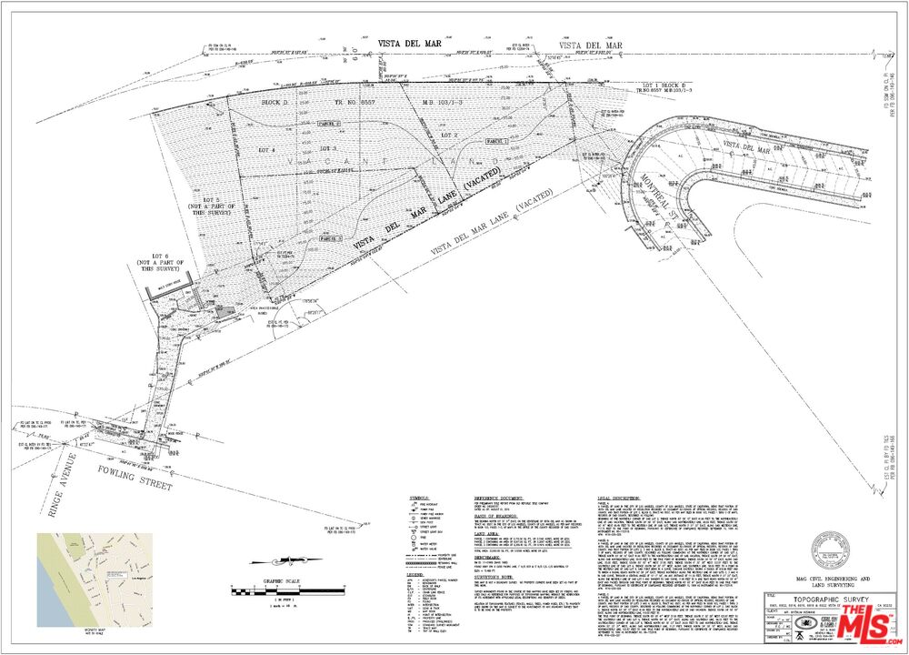
Discover a unique opportunity with these three adjacent lots on the hillside of Playa Del Rey offering ocean and mountain views allowing for versatile development opportunities, totaling an impressive 23,712 sqft. *Lot 1: 6,650 sqft *Lot 2: 8,812 sqft *Lot 3: 8,250 sqft.***Buyers are advised to independently verify accuracy of all information through professional inspection with appropriate professionals***Broker/Agent does not guarantee accuracy of square footage, lot size, zoning, rent control, permits, use code, schools and/or other information concerning the conditions or features of the property provided by the seller or obtained from public records or other sources.***Interested in this Listing?
Miami Residence will connect you with an agent in a short time.
Land Info
| Directions: | Bluff lots located between Vista Del Mar & South of Culver Blvd. |
| View: | Catalina, Coastline, Ocean, Mountains |
Infrastructure
| TV/Cable: | No |
| Disclosures: | As Is |
| Special Zoning: | Coastal Commission |
| Telephone: | No |
Community
Detailed Map
Schools
Find a great school for your child
Active
$ 1,499,000
0.1527Acres
$ 9,816,634per ACRE
23,712 ft2Lot Size


















































